Het adres Cello 1 bevindt zich in de gemeente Kampen, provincie Overijssel. Dit adres is geregistreerd in de Basisregistratie Adressen en Gebouwen (BAG) met een unieke identificatie: 0166010000007385.

Bouwjaar en Leeftijd van het Pand
Het pand op Cello 1 is gebouwd in 1997, wat betekent dat het op dit moment 29 jaar oud is. Het wordt beschouwd als een pand van middelbare leeftijd, wat kan duiden op de aanwezigheid van verouderde elementen.
Gebruiksoppervlakte en BAG-registratie
De woning op Cello 1 heeft een gebruiksoppervlakte van 786 m². Dit is aanzienlijk ruimer dan de gemiddelde Nederlandse woning, die doorgaans ongeveer 119 m² groot is. De gebruiksoppervlakte is de maatstaf die wordt gehanteerd in de BAG-registratie, de landelijke database van de Nederlandse overheid voor adressen en gebouwen.

Functie van het Adres
De officiële gebruiksfunctie van Cello 1 is vastgelegd als bijeenkomsten. Deze functie, geregistreerd in de BAG, bepaalt waarvoor het adres officieel gebruikt mag worden.
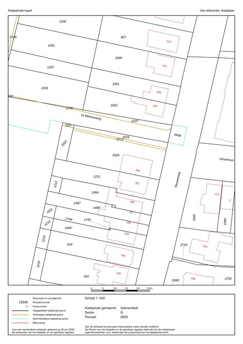
Kadastrale Gegevens
Cello 1 is gelegen op het kadastrale perceel met de aanduiding KPN01P3842. Deze unieke kadastrale aanduiding wordt door het Kadaster gebruikt voor het vastleggen van eigendomsrechten en andere zakelijke rechten. Het perceel behoort tot de kadastrale gemeente Kampen.
Het perceel waarop Cello 1 staat, heeft een oppervlakte van 2641 m². Dit is een zeer groot perceel, waarvan de afmetingen worden geregistreerd door het Kadaster. Gedetailleerde informatie hierover is te vinden in het rapport "Kadastrale kaart met maatvoering van Cello 1".

Eigendom en Bron van Informatie
Informatie over de eigenaar van Cello 1 kan worden opgevraagd. De gegevens die hier worden gepresenteerd, zijn afkomstig uit officiële overheidsregistraties, met name de Basisregistratie Adressen en Gebouwen (BAG) en de Basisregistratie Kadaster (BRK). Deze gegevens worden beheerd door de gemeenten en het Kadaster en worden regelmatig bijgewerkt.
De Gereformeerde Kerk te Kampen en haar Gebouwen
Tot maart 1998 beschikte de Gereformeerde Kerk te Kampen over één kerkgebouw: de Eudokiakerk aan de Wederiklaan. Op 5 april 1997 werd de eerste paal geslagen voor een nieuw kerkgebouw, genaamd De Bazuinkerk. Dit gebouw kon op 14 maart 1998 in gebruik worden genomen. Aanvankelijk werd het kerkgebouw gebruikt door de toenmalige sectie Zuid van de Kerk te Kampen.

Ontwerp en Capaciteit van De Bazuinkerk
Het kerkgebouw is ontworpen door ing. J.H.T. De kerkzaal van De Bazuinkerk biedt plaats aan 413 vaste zitplaatsen en 132 losse zitplaatsen. Het gebouw ligt direct tegenover de begraafplaats Bovenbroek, waardoor het vaak wordt gebruikt voor uitvaarten. Het liturgisch meubilair in de kerk is ontworpen door Pim van Dijk.
Op de tafel in de kerk staat een schaal en beker, die zijn ontworpen en gemaakt door Henny de Klijn-van Hartingsveldt uit Kampen. De vorm van de beker, "verzoening", symboliseert twee losse delen die samenkomen, wat kan worden geïnterpreteerd als de gebroken mens die door God geheeld zal worden, met het gebroken hart als offer (Ps. 51:17). De teksten die hierbij geassocieerd kunnen worden, zijn onder andere "Jezus was het Licht" (Joh. 1:8-11; Joh. 8:12), "De Here is mijn licht, mijn heil, voor wie zou ik vrezen" (Ps. 27:1) en "Onze zonden, hoeveel ook, zullen wit worden als sneeuw en als witte wol" (Jes. 1:18), evenals "Zij, die hun gewaden hebben gewassen en wit gemaakt hebben in het bloed van het Lam" (Openb. 7:14).

De Bazuinkerk binnen het Kerkverband
Als De Bazuinkerk maakt men deel uit van de Nederlandse Gereformeerde Kerken. Dit uit zich primair in eenheid met andere kerken die tot dit verband behoren, met een gedeelde gereformeerde traditie en vergelijkbare cultuur. Daarnaast biedt het kerkverband praktische voordelen doordat niet alle zaken zelf georganiseerd hoeven te worden.
In Kampen zijn er drie kerken die deel uitmaken van dit kerkverband: de Bazuinkerk, de Eudokiakerk en de Nieuwe Kerk. Voorheen behoorden de Eudokiakerk en de Bazuinkerk tot een ander kerkverband dan de Nieuwe Kerk. Sinds 2023 zijn deze kerkverbanden gefuseerd, waardoor de drie kerken nu tot hetzelfde verband behoren. Vroeger bedienden de Eudokiakerk en de Bazuinkerk elk een eigen gebied binnen Kampen: de Eudokiakerk voornamelijk het noordelijke deel en de Bazuinkerk het zuidelijke deel. Met de fusie zijn deze kerkgrenzen losgelaten.
Leden die zich in Kampen willen aansluiten bij een kerk die tot dit kerkverband behoort, hebben nu keuze uit deze drie kerken. Het overgrote deel van de leden van de Bazuinkerk woont echter in de zuidelijke helft van Kampen.
tags: #cello #1 #kampen #gereformeerde #kerk